1棟アパート

カサベルデ

西武池袋線 富士見台駅 より徒歩4分/110.06㎡

価格8,350万円
利回り5.1%
年間収益4,260,000
スライド画像1 外観
スライド画像2  
スライド画像1 外観
スライド画像2  

物件概要

  • 駅 徒歩4分、 閑静な住宅地
    平成4年築、 全室 バス・トイレ別
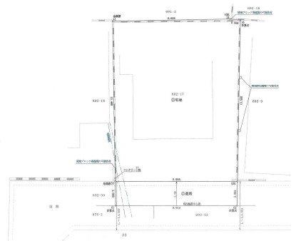
    南側 接道、 整形地

    建物名
    カサベルデ
    価格
    8,350万円
    所在地
    東京都中野区上鷺宮4丁目
    交通
    西武池袋線「富士見台駅」より徒歩4分
    取引態様
    仲介
    元付け
    総戸数
    管理費
    修繕積立金
     
    利回り
    5.1%
    年間収益
    4,260,000円
    駐車場
    駐輪場
    バイク置き場
    建物構造
    建物面積・専有面積
    110.06㎡
    バルコニー面積
    ルーフバルコニー面積
    専用庭面積
    テラス面積
    階数
    所在階
    完成時期
    1992年9月
    部屋番号
    開口部向き
    建物状況
    間取り
    1K (20.25㎡)×2戸、 1K (17.39㎡)×4戸、 駐車場×1区画
    入居・引渡可能時期
    相談
    建物現況
    賃貸中
    リフォーム
    リフォーム箇所
    管理人
    地目
    用途地域
    第一種低層住居専用
    都市計画
    地勢
    土地面積
    158.67㎡
    私道負担面積
    私道負担割合
    土地持分
    セットバック
    建ぺい率
    容積率
    総区画数
    空き区画数
    区画番号
    接道状況
    一方
    接道1
    接道2
    接道3
    接道4
    土地権利
    国土法届出
    法令上の制限
    土地現況
    土地引渡可能時期
    特徴・設備
    次回更新予定日
    2025年11月14日
    更新日
    2025年9月15日
    物件番号
    100135926703
株式会社VMotion 不動産事業部
TEL
050-5236-1375
営業時間
10時~18時
定休日
水曜
免許
東京都都知事免許(1)第111732号

掲載物件一覧